| 昆虫研究所 > コウチュウ目2(ジョウカイボン科) | サ行(セ) > セボシジョウカイ | 分類で探す|名前で探す |
セボシジョウカイ | Athemus vitellinus |
![]() 2007.5 京都府 | ![]() 2008.5 奈良県 | ||
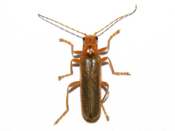
| 分類 | コウチュウ目・ジョウカイボン科 | 解説 | 平地で普通に見られる。頭と背中に黒斑点があるが、斑点がないものもいる。 |
| 時期 | |||
| 分布 | 本州・四国・九州 | ||
| 大きさ | 体長:9〜11mm | ||
| 別名 | |||
| 詳細画像 | ||||
![]() 全体(表) |
![]() 全体(裏) |
![]() 全体(横) |
![]() 頭(前) |
![]() 頭(横) |
![]() 頭(表) |
![]() 頭(裏) |
![]() 触角 |
![]() 前脚 |
![]() 前脚(先) |
![]() 後脚 |
![]() 後脚(先) |
![]() 羽 |
||