| 昆虫研究所 > コウチュウ目1(カミキリムシ科) | ヤ行(ヨ) > ヨツキボシカミキリ | 分類で探す|名前で探す |
ヨツキボシカミキリ | Epiglenea comes |
![]() 2009.8 岡山県 | |||
| 分類 | コウチュウ目・カミキリムシ科 | 解説 | 背中の斑紋は、♂が白色、♀が黄色になる。 |
| 時期 | 5〜7月 | ||
| 分布 | 北海道・本州・四国・九州・沖縄 | ||
| 大きさ | 体長:8〜11mm | ||
| 別名 | |||
| 詳細画像 | ||||
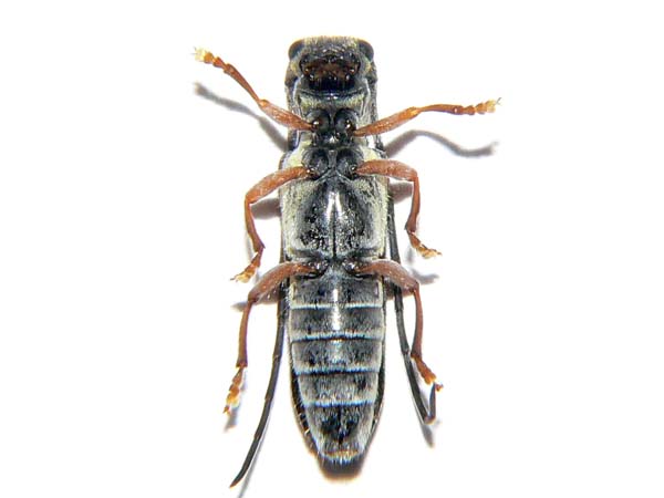
![]() 全体(表) |
![]() 全体(裏) |
![]() 全体(横) |
![]() 頭(前) |
![]() 頭(横) |
![]() 頭(表) |
![]() 頭(裏) |
![]() 触角 |
![]() 前脚 |
![]() 後脚 |
![]() 羽 |
||||
| 画像いろいろ | ||||
![]() 脚の手入れ |
||||