| 昆虫研究所 > コウチュウ目1(カミキリモドキ科) | タ行(ツ) > ツマグロカミキリモドキ | 分類で探す|名前で探す |
ツマグロカミキリモドキ | Nacerdes melanura |
![]() 2009.6 大阪府 | |||
| 分類 | コウチュウ目・カミキリモドキ科 | 解説 | 花に集まる。 |
| 時期 | |||
| 分布 | 北海道・本州・四国・九州・沖縄 | ||
| 大きさ | 体長:9〜12mm | ||
| 別名 | |||
| 詳細画像 | ||||
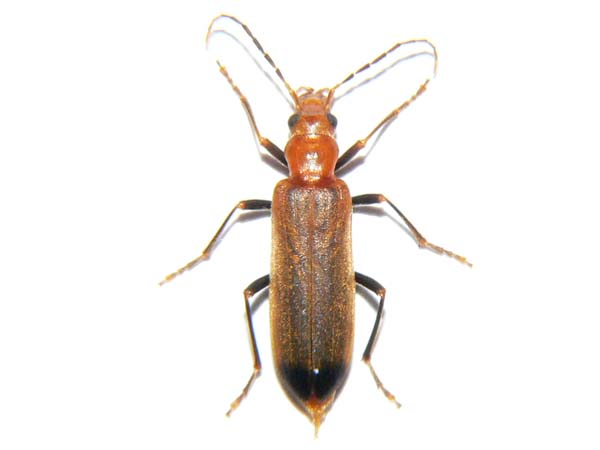
![]() 全体(表) |
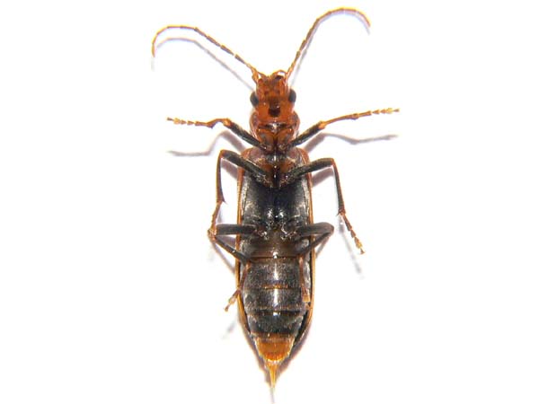
![]() 全体(裏) |
![]() 全体(横) |
![]() 頭(前) |
![]() 頭(横) |
![]() 頭(表) |
![]() 頭(裏) |
![]() 触角 |
![]() 前脚 |
![]() 前脚(先) |
![]() 後脚 |
![]() 後脚(先) |
![]() 羽 |
||
| 画像いろいろ | ||||
![]() 触角の手入れ |
![]() 脚の手入れ |
|||