| 昆虫研究所 > コウチュウ目1(カミキリムシ科) | サ行(シ) > シラホシカミキリ | 分類で探す|名前で探す |
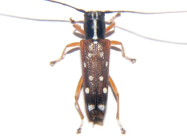
シラホシカミキリ | Glenea relicta |
![]() 2012.8 島根県 | ![]() | ||
| 分類 | コウチュウ目・カミキリムシ科 | 解説 | 広葉樹や伐採枝に集まる。 |
| 時期 | 5〜8月 | ||
| 分布 | 北海道・本州・四国・九州 | ||
| 大きさ | 体長:8〜13mm | ||
| 別名 | |||
| 詳細画像 | ||||
![]() 全体(表) |
![]() 全体(裏) |
![]() 全体(横) |
![]() 頭(前) |
![]() 頭(横) |
![]() 頭(表) |
![]() 頭(裏) |
![]() 触角 |
![]() 前脚(先) |
![]() 後脚 |
![]() 後脚(先) |
||||
| 画像いろいろ | ||||
![]() 足の手入れ |
||||