| 昆虫研究所 > コウチュウ目1(カミキリムシ科) | ナ行(ナ) > ナカジロサビカミキリ | 分類で探す|名前で探す |
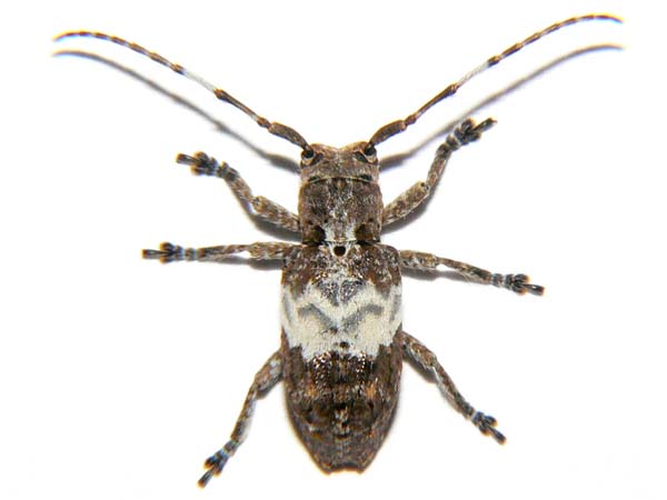
ナカジロサビカミキリ | Pterolophia jugosa |
![]() | |||
| 分類 | コウチュウ目・カミキリムシ科 | 解説 | |
| 時期 | 4〜8月 | ||
| 分布 | 北海道・本州・四国・九州 | ||
| 大きさ | 体長:8〜10mm | ||
| 別名 | |||
| 詳細画像 | ||||
![]() 全体(表) |
![]() 全体(裏) |
![]() 全体(横) |
![]() 頭(前) |
![]() 頭(横) |
![]() 頭(表) |
![]() 頭(裏) |
![]() 触角 |
![]() 前脚 |
![]() 後脚 |
![]() 羽 |
||||