| 昆虫研究所 > コウチュウ目1(カミキリムシ科) | マ行(マ) > マツノマダラカミキリ | 分類で探す|名前で探す |
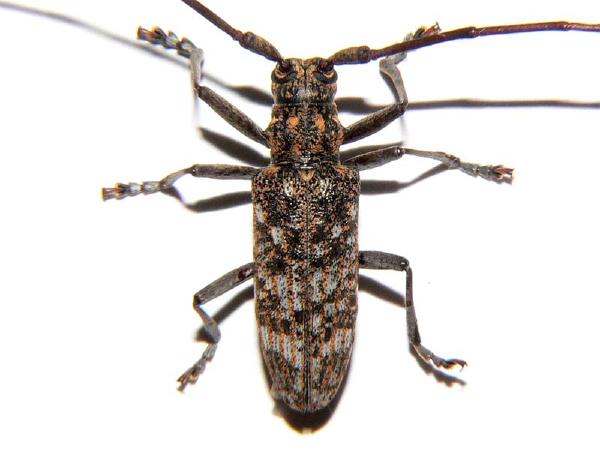
マツノマダラカミキリ | Monochamus alternatus |
![]() 2007.7 大阪府 | ![]() 2009.7 兵庫県 | ||
| 分類 | コウチュウ目・カミキリムシ科 | 解説 | 夜行性で、衰えたのマツ類の樹皮や葉を食べる害虫。マツを枯らす「マツノザイセンチュウ」という線虫の運び屋。幼虫で越冬する。 |
| 時期 | 5〜8月 | ||
| 分布 | 本州・四国・九州・沖縄 | ||
| 大きさ | 体長:18〜27mm | ||
| 別名 | |||
| 詳細画像 | ||||
![]() 全体(表) |
![]() 全体(裏) |
![]() 頭(前) |
![]() 頭(横) |
![]() 頭(表) |
![]() 頭(裏) |
![]() 触角 |
![]() 前脚 |
![]() 前脚(先) |
![]() 後脚 |
![]() 後脚(先) |
![]() 羽 |
|||
| 画像いろいろ | ||||
![]() 糞 |
||||