| 昆虫研究所 > コウチュウ目1(カミキリムシ科) | カ行(キ) > キボシカミキリ | 分類で探す|名前で探す |
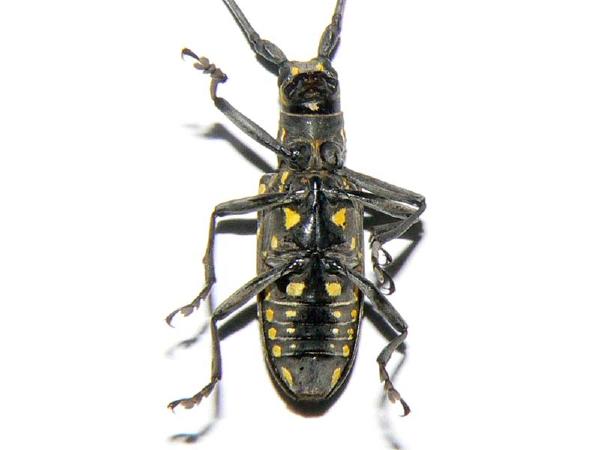
キボシカミキリ | Psacothea hilaris |
![]() 2007.8 島根県 | ![]() 2012.8 島根県 | ||
| 分類 | コウチュウ目・カミキリムシ科 | 解説 | クワやイチジクに集まり、その害虫として知られる。灯火に飛来することがある。最近では北に分布を広げ、東北地方まで拡大している。地域によって紋様やその色が変化に富む。幼虫で越冬。 |
| 時期 | 5〜10月 | ||
| 分布 | 本州・四国・九州・沖縄 | ||
| 大きさ | 体長:14〜30mm | ||
| 別名 | |||
| 詳細画像 | ||||
![]() 全体(表) |
![]() 全体(裏) |
![]() 全体(横) |
![]() 頭(前) |
![]() 頭(横) |
![]() 頭(表) |
![]() 頭(裏) |
![]() 触角 |
![]() 前脚 |
![]() 前脚(先) |
![]() 後脚 |
![]() 後脚(先) |
![]() 羽 |
||
| 画像いろいろ | ||||
![]() 触角の手入れ |
![]() 触角の手入れ |
![]() 脚の手入れ |
![]() 違う模様 |
|