| 昆虫研究所 > カメムシ目(ヘリカメムシ科) | ハ行(ホ) > ホソハリカメムシ | 分類で探す|名前で探す |
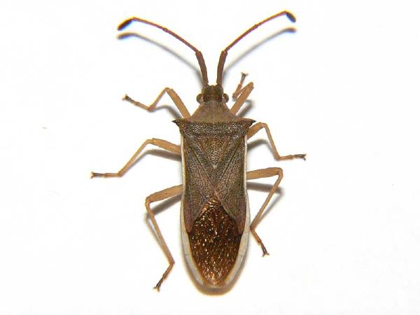
ホソハリカメムシ | Cletus punctiger |
![]() 2007.5 大阪府 | ![]() 2008.5 奈良県 | ||
| 分類 | カメムシ目・ヘリカメムシ科 | 解説 | イネ科の植物を好み、イネの害虫として知られる。成虫で越冬する。 |
| 時期 | 5月〜 | ||
| 分布 | 本州・四国・九州・沖縄 | ||
| 大きさ | 体長:9〜11mm | ||
| 別名 | |||
| 詳細画像 | ||||
![]() 全体(表) |
![]() 全体(裏) |
![]() 全体(横) |
![]() 頭(前) |
![]() 頭(横) |
![]() 頭(表) |
![]() 頭(裏) |
![]() 触角 |
![]() 前脚 |
![]() 前脚(先) |
![]() 後脚 |
![]() 後脚(先) |
![]() 羽 |
||
| 画像いろいろ | ||||
![]() 交尾 |
||||